Main Photo

10 Total Photos [Click to View All]

Main Photo
Main Photo

1 Orchard Road Oswego, IL 60543

$264,844
Active / MLS# 11919710 / Land - Farm / Oswego
0 Beds

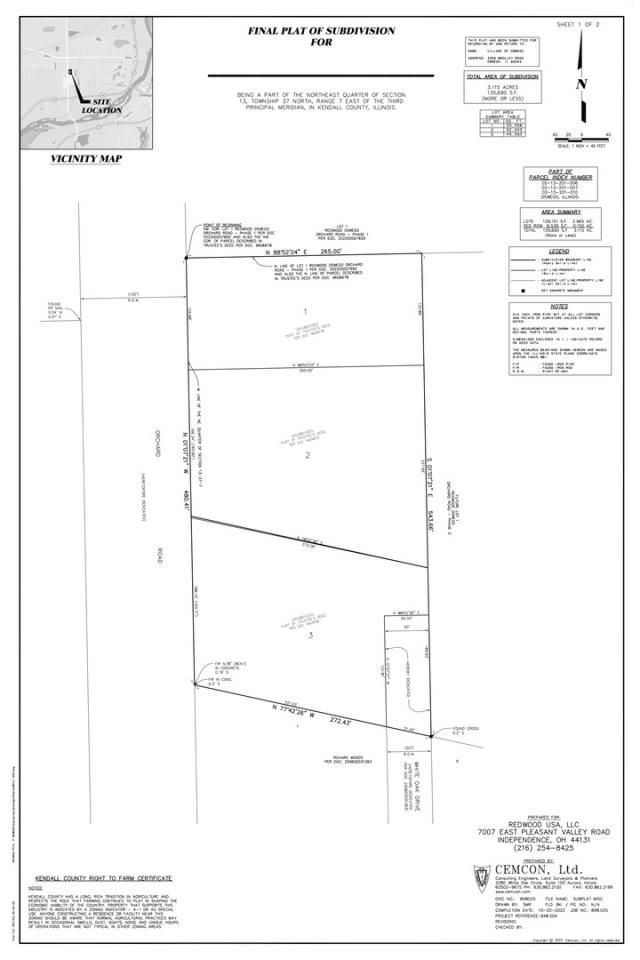
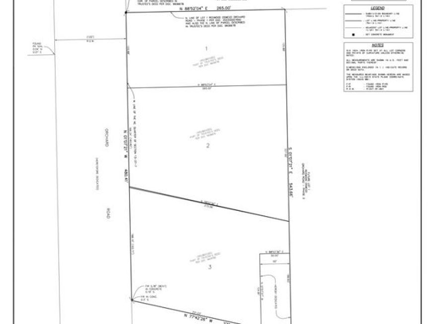
Ready to build your Business on Orchard Road in Fast Growing Oswego. There are 1 to 3 Retail Lots available on the East side of Orchard Road and north of the Lewis Stoplight. Redwood Apartments are being built as we speak behind this location as well as all the way to the north. This is for Lot 1. Please note you will have to put in your own access road. There are three Retail Lots Available. Please note you will have to put in your own access road. There are three Retail Lots available Price is $8.00psf ( PER SQUARE FOOT) Lot 3 is 1.18 or 51,400sf x $8.00psf = $411,206.40; Lot 2 is 1.33 acres or 57,934 sf x $8.00 = $463,478.40.00; Lot 1 is .76 acre or 33,105sf x $8.00psf = $264,844.00.00. All Three Lots for $1,139,528.00. There is a stub road coming off or Lewis, that means lot 1 & 2 do not have direct access. Again this is Asking $8.00 per square foot.

Read More » Read Less »

Baird & Warner New Client Care Team Agent Cell: 312.847.5702 Email

Request Tour

Mortgage Calculator

%
years/fixed
yearly
yearly (est.)
(Payments are an estimate and may vary by lender)

Estimated Payment

$ 4,415.79 per month $588.54 Principal & Interest $3,750.00 Property Tax $77.25 Homeowner's Insurance
Get your competitive financing options.

Property Details

Property Type: Land - Farm
Lot Size: 0.76 Acres
Taxes: $45,000

Feature Descriptions

Current Use: Agricultural
Frontage: 125.8
Frontage Type: State Road
Lot Dimensions: 125X265X125X265
Parcel#: 0213201006
Road Surface: None
Township: Oswego
Utilities: Electricity Available, Natural Gas Available

Schools

School District: District 308

Disclaimer: The accuracy of all information regardless of source, including but not limited to square footage and lot size, is deemed reliable but not guaranteed nor warranted and should be personally verified through personal inspection by and/or with the appropriate professionals.

Location

See details and scored characteristics about this location.

Listing Office: Brummel Properties, Inc.

Listing Office Phone: 630-551-8005



Listing data and photos distributed by MLSGRID
Member Participants (and their affiliated licensees, if applicable) shall indicate on their websites that IDX information is provided exclusively for consumers’ personal non-commercial use, that it may not be used for any purpose other than to identify prospective properties consumers may be interested in purchasing, that the data is deemed reliable but is not guaranteed by MLS GRID, and that the use of the MLS GRID Data may be subject to an end user license agreement prescribed by the Member Participant’s applicable MLS if any and as amended from time to time. MLS GRID may, at its discretion, require use of other disclaimers as necessary to protect Member Participant, and/or their MLS from liability.
Based on information submitted to the MLS GRID. All data is obtained from various sources and may not have been verified by broker or MLS GRID. Supplied Open House Information is subject to change without notice. All information should be independently reviewed and verified for accuracy. Properties may or may not be listed by the office/agent presenting the information.


Login to my Baird & Warner account

Pixel